Početkom drugog dijela zimskih školskih praznika, kada se očekuje manje vozila na gradskim prometnicama, započinje nova regulacija prometa u Branimirovoj ulici.
Naime, kako bi se krenulo sa završnim radovima na proširenju Branimirove potrebno je izvesti radove na prespoju novog kolektora na postojeći koji se nalazi u samom raskrižju Zagrebačka cesta – Ulica kneza Branimira u Sesvetama.
“I do sada smo imali radove na navedenim dionicama, ali smo se trudili da to bude vikendom i nakon radnog vremena. Međutim sada moramo na tri tjedna zatvoriti korištenje Zagrebačke ceste prema Dubravi kako bi u potpunosti mogli izvršiti radove na 1. etapi produžene Branimirove”, objasnio je gradonačelnik Tomislav Tomašević zamolivši sugrađane za strpljenje koji će u konačnici dobiti manje gužve u istočnom dijelu grada.

Tri tjedna
Raskrižjem Zagrebačka cesta – Ulica kneza Branimira u Sesvetama promet će biti otežan od subote, 17. veljače 2024. od 08,00 sati, do ponedjeljka, 11. ožujka 2024. do 04,00 sata.
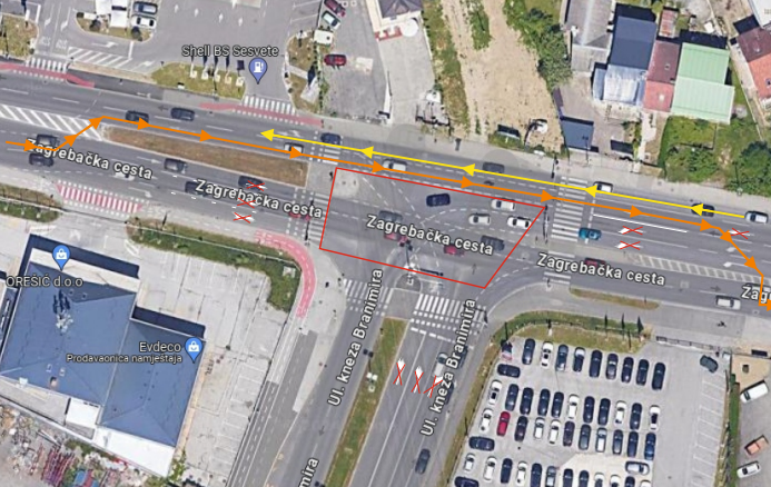
Promet će se u navedenom razdoblju odvijati suženim dijelom kolnika (u smjeru istok-zapad jednim prometnim trakom) odnosno u nekim smjerovima bit će onemogućen.
Zabranjeno će biti prometovanje iz Zagrebačke ceste u Ulicu kneza Branimira (smjer istok-jug), kao iz Ulice kneza Branimira prema ulici Dubrava (smjer jug – zapad).
“Posebnu pozornost molimo da obrate pješaci, s obzirom na to da će se u zoni gradilišta kretati povećani broj teretnih vozila i opreme”, upozoravaju iz Grada.
Prometni kaos na istoku grada trajat će još dulje: Dvije ZET-ove linije obilaze radove
Kako bi se na raskrižju izbjegla dodatna zagušenja, iz Grada predlažu sljedeće obilazne pravce:
· iz smjera istok: Zagrebačka – Ljudevita Posavskog – Slavonska avenija – Heinzelova – Ulica kneza Branimira i obratno
· iz smjera zapad: Dubrava – R. Škrnjuga – Ulica kneza Branimira – Aleja Javora – Platana – Čulinečka – Slavonska avenija – Ljudevita Posavskog – Zagrebačka


















